Обнаруженные в 1996 году в марсианском метеорите Allan Hills 84001 (ALH 84001) карбонатные глобулы, содержащие органические молекулы, долгое время были центром дискуссии о возможном существовании жизни на древнем Марсе. Изучив тонкие поперечные спилы этих объектов с помощью просвечивающего электронного микроскопа, международная команда ученых установила, что они имеют однозначно абиогенное происхождение и образовались в ходе геологического процесса серпентинизации.
Метеорит ALH 84001 был найден 27 декабря 1984 года участниками экспедиции в рамках проекта ANSMET (Antarctic Search for Meteorites — «поиск метеоритов в Антарктике»). Этот проект позволяет собирать максимально незагрязненное внеземное вещество, так как на поверхности ледяных щитов Антарктиды сравнительно мало инородного биологического и геологического материала, способного попасть внутрь образца.
ALH 84001 состоит преимущественно из минерала ортопироксена, являясь аналогом земных пород ортопироксенитов. Судя по данным изотопного анализа, этот ортопироксен кристаллизовался примерно 4,09 млрд лет назад, что делает ALH 84001 одним из древнейших образцов марсианского вещества (T. J. Lapen et al., 2010. A Younger Age for ALH84001 and Its Geochemical Link to Shergottite Sources in Mars). Около 3,9 млрд лет назад участок марсианской горной породы, частью которой был ALH 84001, провзаимодействовал с горячими водными растворами (L. E. Borg et al., 1999. The Age of the Carbonates in Martian Meteorite ALH84001). Среди прочего эти растворы привели к формированию минералов группы карбонатов (таких как сидерит (FeCO3), доломит (CaMg[CO3]2) магнезит (MgCO3) и кальцит (CaCO3)).
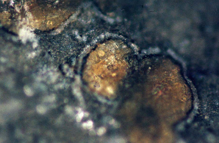
Изучавшая эти карбонаты (рис. 2) научная группа во главе с Дэвидом Маккеем (David S. McKay) в 1996 году опубликовала в журнале Science невероятно провокационную статью «В поисках прошлой жизни на Марсе: возможные следы реликтовой биологической активности в марсианском метеорите ALH 84001» (D. S. McKay et al., 1996. Search for Past Life on Mars: Possible Relic Biogenic Activity in Martian Meteorite ALH84001). В ней исследователи описали сферические и продолговатые карбонатные образования (глобулы), связанные с полициклическими ароматическими углеводородами (ПАУ), и выдвинули гипотезу, что это могут быть ископаемые марсианские нанобактерии. Забегая вперед, скажу, что в итоге эта гипотеза была отвергнута научным сообществом и сейчас у нас нет достоверных свидетельств существования живых организмов вне Земли (не считая МКС (см. S. Boljani et al., 2021. Methylobacterium ajmalii sp. nov., Isolated From the International Space Station) и случайно загрязненных автономных космических аппаратов). тобы понять, как вообще у Маккея родилась эта смелая и немножко безумная идея, нужно сказать пару слов о нем самом и о других популярных научных концепциях середины девяностых годов прошлого века.
Рис. 2. Карбонатные структуры, обнаруженные в метеорите ALH 84001. Фото сделано с помощью сканирующего электронного микроскопа. Несмотря на то, что именно эта фотография наиболее популярна в медиа, она не являлась частью исходной статьи и была сделана позже, причем на ней запечатлен не тот участок метеорит, который был представлен в исследовании, а другой. Фото с сайта en.wikipedia.org
Дэвид Маккей (1936–2013), отвечавший в то время за астробиологию в Космическом центре имени Линдона Джонсона, был геологом из поколения, которое отправило людей на Луну. В 1962 году, будучи еще аспирантом, он присутствовал на речи президента Джона Ф. Кеннеди, в которой тот обещал отправить астронавтов на спутник Земли в течение десятилетия. Обещание Кеннеди, как известно, исполнилось и в 1969 году Дэвид обучал Нила Армстронга и Базза Олдрина геологии, в ходе последней предполетной практики в Западном Техасе. А 20 июля того же года он консультировал их уже из командного центра во время прогулки по Луне. Свою дальнейшую карьеру он посвятил изучению геологического материала, собранного во время этой и последующих «прогулок», и является одной из ключевых фигур в селенологии.
Сама же гипотеза о возможности обнаружения следов живых организмов размером менее нескольких сотен нанометров в геологических образцах была выдвинута всего за несколько лет до выхода провокационной статьи о карбонатах в метеорите ALH 84001 (в 1992 году), и к моменту ее публикации была всего лишь модной спекуляцией. Она была основана на спорной интерпретации наноразмерных геологических находок, а ее основная проблема заключалась в том, что было не очень ясно, как может функционировать настолько маленький организм. Нанометр — это одна миллиардная часть метра. Для сравнения, длина кишечной палочки (Escherichia coli) около 2 микрометров (миллионных частей метра). Примерно такой же порядок размера имеют и крупные органеллы клетки вроде митохондрии. Долгие и драматические поиски нанобактерий в природе так и не увенчались успехом и к 2010-м основная часть научного сообщества признала, что таких живых существ нет в природе (J. D. Young, J. Martel. 2010. The rise and fall of nanobacteria), а те самые мелкие странные геологические объекты получаются в ходе геохимических процессов.
Но в 1996 году концепция наноразмерных организмов еще активно обсуждалась, так что, в общем, неудивительно, что она органично вписалась в научно-фантастическую интерпретацию Маккея. Надо ли говорить, что вышедшая статья произвела абсолютно невероятный эффект — лучшей иллюстрацией этому служит специальное заявление президента США Билла Клинтона, который посчитал необходимым дать свой комментарий.
В итоге сейчас статья о «марсианских бактериях» известна всем — от сторонников конспирологических теорий до вполне серьезных ученых, а поиски внеземной жизни в других марсианских метеоритах продолжаются до сих пор. Конечно же, в последующие годы идея Маккея с коллегами сильно критиковалась, а изучение самого метеорита — продолжалось. В 1998 году в нем обнаружили следовые количества аминокислот глицина, серина и аланина (J. L. Bada et al., 1998. A Search for Endogenous Amino Acids in Martian Meteorite ALH84001). Однако в публикации об этом отмечалось, что эти вещества, вероятно, являются результатом земного загрязнения. А вот ПАУ, равномерно распределенные в карбонатах, по результатам другой статьи того же года, скорее всего имели именно марсианское происхождение (S. J. Clement et al., 1998. Evidence for the extraterrestrial origin of polycyclic aromatic hydrocarbons in the Martian meteorite ALH84001).

Рис. 3. Карбонатные включения — глобулы — в метеорите ALH 84001 размером 100–200 мкм. Из статьи C. Meyer, 2012. ALH84001
Относительно конкретного механизма образования этих органических молекул и, в том числе, содержащих их карбонатных структур выдвигались различные гипотезы: что они связаны с процессом кратерообразования (A. H. Treiman, 2004. Submicron Magnetite Grains and Carbon Compounds in Martian Meteorite ALH84001: Inorganic, Abiotic Formation by Shock and Thermal Metamorphism), с магматизмом (A. Steele et al., 2012. A Reduced Organic Carbon Component in Martian Basalts) и/или c гидротермальной активностью (A. Steele et al., 2010. Comprehensive imaging and Raman spectroscopy of carbonate globules from Martian meteorite ALH 84001 and a terrestrial analogue from Svalbard). В этих гипотезах так или иначе фигурировали горячие водные растворы, однако отсутствовало комплексное описание геологического процесса формирования глобул, так как каждая из статей фокусировалась на отдельных минералах или химических соединениях.
В статье, опубликованной в недавнем выпуске журнала Science, научная группа во главе с астробиологом Эндрю Стили (Andrew Steele), описывает комплексный геологический механизм, который мог породить именно такие структуры, которые наблюдаются в метеорите ALH 84001. Доктор Стили из института Карнеги изучает ALH 84001 уже более двух десятков лет: первая работа с его участием, посвященная исследованию трещин в этом метеорите и карбонатных глобул в них, вышла еще в 1998 году. И значительная часть вышеупомянутых гипотез о том, как именно сформировались различные соединения углерода в этом метеорите, разрабатывалась преимущественно его командой.
Чтобы уточнить механизм вторичного преобразования ортопироксенита, ученые вырезали из метеорита ALH 84001 несколько очень тонких пластин с помощью сфокусированного ионного пучка и исследовали их с использованием просвечивающего электронного микроскопа (ПЭМ), EXAFS-спектроскопии (Extended X-ray absorption fine structure) и масс-спектрометрии вторичных ионов (в обсуждаемой работе использовалась технология NanoSIMS). Первая пластина — поперечное сечение гидротермальной жилы с большим количеством магнетита (Fe3O4), которая прорезает ортопироксенит (рис. 4). Как показал анализ химического состава и структур кристаллов, слагающих жилу, кроме магнетита в ней встречаются минералы из группы серпентина и талька (рис. 4, D), а также карбонаты. Кристаллы ортопироксена, на контакте с заполнением жилы, имеют характерную зубчатую кайму растворения (рис. 4, С), возникшую при реакции с раствором. Обнаруженные в этой зоне органические вещества (ароматические соединения, карбонильные и карбоксильные группы; рис. 4, I, J) не являются результатом загрязнения при подготовке образцов, так как не содержатся ни в одном из использованных реагентов, — а значит, образовались в ходе геохимических реакций на Марсе. Дополнительным аргументом в пользу их марсианского происхождения является обогащение обнаруженных молекул дейтерием относительно земных значений (рис. 4, K; подробнее об изотопах водорода на Марсе см. новость Марсианская мантия неоднородна по изотопному составу водорода, «Элементы», 16.04.2020).
Рис. 4. Анализ первого среза из метеорита ALH 84001. A — ПЭМ-изображение образца, красным обведены участки с фотографий B и C. B — ПЭМ-изображение волокнистых кристаллов, заполняющих полость между слегка растворенными кристаллами ортопироксена (стрелка 1, красная рамка — участок с фотографии Е). C — ПЭМ-изображение микрокристаллов минералов группы серпентина и талька (стрелки 2 и 3), красная рамка — участок с фотографии G. D — фрагмент треугольной диаграммы составов для системы MgO-SiO2-FeO, в молярных процентах показывающей составы минералов из областей 1 (фото В) и 2 (фото С); серым показан состав земных минералов группы серпентина из горных пород Омана (офиолитов из комплекса Семаил), а также самого ортопироксена. E — ПЭМ-изображение слоистой структуры микрокристаллов с участка B. F — дифракционные паттерны участка E, подтверждающие определение минерала. G и H — аналогичные изображения для участка С. I — STXM-спектры точек 1–3 на изображениях B и С, на основе которых проводилась идентификация углеводородов; вертикальные линии — центры пиков. J — NanoSIMS-карта распространенности изотопа углерода 12С (Cts, counts — количество регистраций на детекторе). K — NanoSIMS-карта для соотношения изотопов водорода δD; обведенная белым область — волокнистые кристаллы с участка В с δD = 790 ± 140‰. Рисунок из обсуждаемой статьи в Science
Вторая пластина (рис. 5) является поперечным сечением пары карбонатных глобул. Так же, как и в первой пластине, края ортопироксена, на котором лежат глобулы, растворены (рис. 5, С). Внутри одного из кристаллов ортопироксена были замечены кристаллы-узники минерала хромита (FeCr2O4), захваченные при исходной кристаллизации из магмы. Один из таких кристаллов хромита при растворении ортопироксена в гидротермальном флюиде оказался выведен на поверхность и напрямую контактировал с карбонатом (рис. 5, С). Внутри глобул и небольшой карбонатной жилы (рис. 5, В) наблюдаются небольшие полости с нанокристаллами магнетита и сидерита. На контакте карбоната и ортопироксена был найден небольшой слой аморфного кремнезема (SiO2). Соединения углерода в этой пластине были идентичны первому образцу и также не несли следов лабораторного загрязнения. Третий образец практически идентичен первым двум по наблюдаемым минералам, органическим молекулам и их взаимоотношениям, поэтому он служит дополнительным аргументом к итоговому выводу статьи.
Рис. 5. Анализ второй пластины — поперечного среза карбонатных глобул. A — ПЭМ-изображение спила, проходящего через центр глобул. Красная рамка — область, показанная на изображении B, белая рамка — на изображении C; Opx — ортопироксен, CO3 — карбонаты. B — увеличенный участок изображения А с небольшой карбонатной жилой под глобулами. C — контакт ортопироксена (Opx) с включениями хромита (Chromite) и карбоната (CO3), область в белом квадрате показана на врезке D и содержит кристалл хромита на контакте ортопироксена и карбоната. Рисунок из обсуждаемой статьи в Science
Главный вывод статьи звучит так: минеральные ассоциации и органические соединения в метеорите ALH 84001 образовались в ходе хорошо известного геологам процесса — серпентинизации. На Земле он настолько распространен, что во время полевых работ ученым стоит значительных трудов найти ультраосновную породу (группа, к которой относятся ортопироксениты) без признаков серпентинизации. А зачастую это и вовсе невозможно. При серпентинизации оливин или пироксен исходной породы, реагируя с горячими водными растворами, превращается в совокупность других минералов из которых основными являются серпентины, тальк и магнетит. Отмеченные авторами «зубчатые» структуры растворения на краю ортопироксена и заполняющая зоны рядом с ними смесь минералов — типичные маркеры серпентинизации земных пород.
Во время реакций серпентинизации выделяется водород, реагирующий с углеродом с образованием метана (подробнее об этом см. новость Значительная доля земного метана образуется в толще океанической коры, «Элементы», 02.09.2019). Однако существует и целый ряд других реакций, приводящих к возникновению более сложных углеводородных соединений (T. M. McCollom, J. S. Seewald, 2007. Abiotic Synthesis of Organic Compounds in Deep-Sea Hydrothermal Environments). В ALH 84001 органические молекулы ассоциируются с нанокристаллами магнетита, причем они были идентифицированы исключительно в карбонатах и тальк-серпентиновой зоне, что указывает на их связь с общим гидротермальным преобразованием. По гипотезе, высказанной в более ранних статьях группы Стили, магнетит может играть роль катализатора или участвовать в электрохимических реакциях органического синтеза (A. Steele et al., 2018. Organic synthesis on Mars by electrochemical reduction of CO2). Однако в органические молекулы превращается лишь малая часть углерода из гидротермального раствора: в основном из него отлагаются уже много раз упомянутые карбонаты.
На данный момент установить точные детали конкретно этого процесса серпентинизации достаточно непросто: все это случилось очень давно и, судя по всему, в несколько стадий. Да еще и вещество метеорита было несколько изменено при его выбивании с поверхности Марса. Однако, скорее всего, как замечают авторы статьи, исходный раствор имел температуру в несколько сотен градусов и нейтральный-щелочной pH.
Предложенной в обсуждаемой статье элегантное и простое объяснение многих особенностей метеорита ALH 84001 не только окончательно устраняет нужду в «марсианских бактериях», но и вполне позволяет считать его образцом серпентинизированной горной породы. Такой способ мышления очень полезен при объяснении наблюдений и анализов, так как мы можем теперь в полной воспользоваться геологическим принципом актуализма и искать совершенно простые земные аналогии и объяснения большинству странностей этого куска Марса.
Источник: A. Steele, L. G. Benning, R. Wirth, A. Schreiber, T. Araki, F. M. McCubbin, M. D. Fries, L. R. Nittler, J. Wang, L. J. Hallis, P. G. Conrad, C. Conley, S. Vitale, A. C. O'Brien, V. Riggi, K. Rogers. Organic synthesis associated with serpentinization and carbonation on early Mars // Science. 2022. DOI: 10.1126/science.abg7905.
Кирилл Власов




Рис. 1. Марсианский метеорит Allan Hills 84001 (ALH 84001) был найден в 1984 году в рамках экспедиции по поиску метеоритов в Антарктиде. Считается, что около 16 млн лет назад он был выбит с Марса при падении другого метеорита, а примерно 13 000 лет назад упал на Землю. Метеорит весит чуть меньше 2 кг и имеет форму картофелины размером примерно 15×10×7,5 см. Фото с сайта en.wikipedia.org